IPSEILIVESE Hurricane Tracker Map: Your Real-Time Guide

D.Expipoint 130 views
IPSEILIVESE Hurricane Tracker Map: Your Real-Time Guide

IPSEILIVESE Hurricane Tracker Map: Your Real-Time Guide

Hey everyone! Are you ready to dive into the world of hurricane tracking ? If you’re anything like me, you’re probably always looking for ways to stay informed, especially when those powerful storms start brewing. That’s where the IPSEILIVESE Hurricane Tracker Map comes in – your go-to resource for real-time updates and essential information. Let’s break down why this map is a game-changer and how you can use it to stay safe and informed. This article will be your comprehensive guide, covering everything from the map’s features to how to interpret the data, and offering tips on preparedness.

What is the IPSEILIVESE Hurricane Tracker Map?

So, what exactly is the IPSEILIVESE Hurricane Tracker Map ? Simply put, it’s a dynamic, interactive map designed to provide up-to-the-minute information on active tropical cyclones, hurricanes, and other severe weather systems. It’s like having a weather expert right at your fingertips, offering detailed insights into the paths, intensities, and potential impacts of these powerful storms. The map typically integrates data from multiple sources, including the National Hurricane Center (NHC), the World Meteorological Organization (WMO), and various satellite and radar systems. This means you’re getting a comprehensive overview, not just a snapshot.

The map’s primary function is to visualize the current location and projected path of hurricanes. You’ll see things like the storm’s center, the areas under potential threat, and the forecast cone, which shows the likely path of the storm over the next few days. But it goes way beyond just showing where the storm is. The IPSEILIVESE Hurricane Tracker Map often includes a wealth of additional data, such as wind speeds, pressure readings, and the potential for storm surge. It might also show the probability of landfall, and even provide links to official advisories and alerts issued by governmental and meteorological agencies. The best part? It’s usually accessible from any device, whether you’re on your computer, tablet, or smartphone. This accessibility ensures that you can always access the latest information, no matter where you are.

When we’re talking about staying informed during hurricane season, the IPSEILIVESE Hurricane Tracker Map isn’t just about convenience. It’s about safety. Access to reliable, real-time data can be the difference between making informed decisions and being caught off guard. By using this map, you’ll be better equipped to monitor storms, understand their potential impacts, and make preparations to protect yourself, your family, and your property. It’s an essential tool for anyone living in or near hurricane-prone areas, giving you the power to stay ahead of the storm and stay safe.

Key Features of the IPSEILIVESE Hurricane Tracker Map

Alright, let’s get into the nitty-gritty of what makes the IPSEILIVESE Hurricane Tracker Map such a valuable tool. The interface is usually pretty user-friendly, and the data is presented in an easy-to-understand format. One of the most important elements is the real-time tracking of hurricane positions. You’ll see the storm’s current location clearly marked on the map, along with its estimated movement. This information is crucial for understanding the immediate threat and tracking the storm’s progress.

Next up, there’s the forecast cone. This is a visual representation of the potential path of the hurricane. It’s not a prediction of exactly where the storm will go, but rather a guide to the areas most likely to be affected. The cone gets wider over time because the potential error in the forecast increases the further out you go. You’ll see color-coded areas showing the projected intensity of the storm. These colors often indicate the different categories of hurricanes (from tropical storm to Category 5), allowing you to quickly assess the potential severity.

But wait, there’s more! The map goes deep with detailed data. You’ll usually find information on wind speeds (both sustained and gusts), central pressure (a measure of the storm’s intensity), and the storm’s overall size. There’s also information on the potential for storm surge, which is one of the most dangerous aspects of hurricanes. Many IPSEILIVESE Hurricane Tracker Maps also provide links to official advisories and alerts. This feature is super important because it gives you direct access to the latest warnings and recommendations from official sources like the National Hurricane Center.

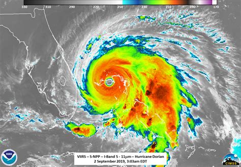
Another cool feature is often the integration of radar and satellite imagery. This gives you a visual view of the storm, including its structure, rainfall patterns, and cloud cover. You might see loops of images that show the storm’s movement over time, allowing you to track its development and changes. Additionally, most maps will also provide historical data. You can often see the storm’s past track, which can help you understand its history and predict its future behavior. The IPSEILIVESE Hurricane Tracker Map is designed to provide comprehensive, up-to-date data in a format that’s easy to understand. With these features, you can make informed decisions and stay safe during hurricane season.

How to Read and Interpret the Data on the Map

Alright, so you’ve got the IPSEILIVESE Hurricane Tracker Map open. Now what? Understanding the data is key to using the map effectively. First off, let’s talk about the symbols. The hurricane symbol itself (the little swirl) marks the center of the storm. The color of the symbol usually indicates the storm’s intensity – green for tropical storms, yellow or orange for hurricanes, and red or purple for the most intense storms. Make sure you learn the legend on the map to understand what the colors and symbols mean.

The forecast cone is another crucial element. Remember, it’s not a guarantee, but a guide. The narrower the cone, the more certain the forecast is. As the days go by, the cone will get wider, meaning the forecast becomes less certain. Pay close attention to where the cone intersects with your location. If you’re inside the cone, it means your area has a higher probability of being affected by the storm.

Next up, wind speed is a major factor. The map will display wind speeds in miles per hour (mph) or kilometers per hour (km/h). Pay attention to the sustained winds, as they indicate the storm’s overall strength. Gusts can be higher, so keep an eye on those too. Central pressure is another important indicator of intensity. Lower pressure typically means a stronger storm. Look for the pressure reading in millibars (mb) on the map.

Storm surge is one of the most dangerous aspects of hurricanes. The IPSEILIVESE Hurricane Tracker Map often provides information on the potential for storm surge, which is the rise in sea level caused by the storm. Be sure to check this data for your area, as it can indicate the risk of flooding. The map also offers links to advisories and alerts. Click on these to access the latest warnings from official sources. The NHC and local authorities will provide essential guidance on what to do.

Radar and satellite imagery are also super helpful. This data gives you a visual view of the storm, including cloud cover and rainfall patterns. You can often see loops of images that show the storm’s movement over time. The IPSEILIVESE Hurricane Tracker Map makes data interpretation easy, providing a wealth of information. Stay informed by regularly checking the map and understanding what the data tells you.

Tips for Using the IPSEILIVESE Hurricane Tracker Map Effectively

So, you know what the IPSEILIVESE Hurricane Tracker Map is and how to read it. But how do you use it effectively? First, make it a habit to check the map regularly, especially during hurricane season (June 1st to November 30th for the Atlantic). Even if a storm isn’t directly threatening you, staying informed about what’s going on elsewhere can help you prepare. When you’re checking the map, pay attention to the forecast cone. See if your location is within the cone. If it is, it’s time to start preparing.

Next, understand the potential impacts. A hurricane can bring high winds, heavy rain, storm surge, and even tornadoes. Assess the risks in your area. Consider factors like your elevation, your proximity to the coast, and the potential for flooding. Have a hurricane plan in place. This includes knowing your evacuation routes, having an emergency kit ready, and understanding how to protect your property. The emergency kit should include essentials like water, non-perishable food, a first-aid kit, a flashlight, and a battery-powered radio.

Don’t rely solely on the map. While the IPSEILIVESE Hurricane Tracker Map is a great tool, it’s not the only source of information you should use. Always listen to the official warnings and advisories from the National Hurricane Center (NHC) and your local authorities. Be aware of the limitations of forecasting. Forecasts are not perfect, and storms can change course or intensify rapidly. Be prepared to adapt your plans as the situation evolves. Share the information with others. Help your neighbors, friends, and family stay informed. By working together, you can create a safer community.

Another important tip is to understand the difference between a watch and a warning. A hurricane watch means that hurricane conditions are possible in your area within 48 hours. A hurricane warning means that hurricane conditions are expected within 36 hours. If a hurricane watch or warning is issued for your area, take it seriously and prepare accordingly. And remember, be proactive! Don’t wait until the last minute to prepare. Start gathering supplies, making arrangements, and getting ready well in advance. The IPSEILIVESE Hurricane Tracker Map is a valuable tool, but it’s most effective when used as part of a comprehensive hurricane preparedness plan.

Additional Resources and Information

To make sure you’re fully equipped to handle hurricane season, here are some additional resources that can help you out. The National Hurricane Center (NHC) is the primary source for official hurricane forecasts, watches, and warnings. Their website offers detailed information, including the latest storm tracks, intensity forecasts, and potential impacts. The Federal Emergency Management Agency (FEMA) provides resources on hurricane preparedness, including tips on how to create an emergency kit, develop an evacuation plan, and protect your property. Your local emergency management agency is also a key resource. They provide specific information for your area, including evacuation routes, shelter locations, and local emergency alerts.

Keep an eye on reliable weather news outlets. These sources often have detailed coverage of hurricanes, including real-time updates and analysis from meteorologists. Look for sources with a proven track record for accuracy and objectivity. When you use the IPSEILIVESE Hurricane Tracker Map , pair it with information from these official sources. This gives you a more comprehensive understanding of the situation. Always stay informed! Regularly check these resources and be prepared to adapt your plans as the situation evolves. The more information you have, the better equipped you’ll be to stay safe during hurricane season.

Conclusion

In conclusion, the IPSEILIVESE Hurricane Tracker Map is an indispensable tool for anyone living in or near hurricane-prone areas. It gives you access to real-time data, helping you to stay informed, make informed decisions, and prepare effectively. By understanding the map’s features, learning how to interpret the data, and using it effectively, you can increase your chances of staying safe during hurricane season. Remember to combine the map with other resources, such as the National Hurricane Center and your local emergency management agency, to get the most comprehensive information available. Stay prepared, stay informed, and stay safe. Good luck, and let’s get through this hurricane season together! If you have any questions or want to share your experience with the IPSEILIVESE Hurricane Tracker Map , feel free to comment below.