NOAA Satellite Image Updates: Your Guide

D.Expipoint 87 views
NOAA Satellite Image Updates: Your Guide

NOAA Satellite Image Frequency: Your Essential Guide

Hey everyone! Ever wondered how often those amazing NOAA satellite images are updated? Well, you’re in the right place. We’re diving deep into the NOAA satellite image frequency , giving you the lowdown on how often you can expect fresh visuals from space. This information is super important for meteorologists, weather enthusiasts, and anyone who loves keeping an eye on the Earth from above. Understanding the update frequency helps us stay informed about weather patterns, environmental changes, and other critical data. So, let’s get started and demystify the world of NOAA satellite imagery!

Understanding NOAA Satellites and Their Role

First off, let’s chat about what NOAA satellites actually do . The National Oceanic and Atmospheric Administration (NOAA) operates a fleet of satellites that are essentially our eyes in the sky. These satellites are packed with instruments that capture all sorts of data about our planet, including images of clouds, land, and oceans. They’re constantly orbiting Earth, collecting information that’s used for weather forecasting, climate monitoring, and even search and rescue operations. NOAA satellites are divided into two main categories: geostationary satellites and polar-orbiting satellites . Geostationary satellites stay fixed over a specific location on Earth, providing continuous monitoring of a particular region. Polar-orbiting satellites, on the other hand, travel in a north-south orbit, passing over all parts of the Earth. Each type of satellite plays a unique role, and their combined efforts give us a comprehensive view of our planet. These images aren’t just pretty pictures; they’re packed with crucial information that helps us understand and predict the weather.

Geostationary Satellites

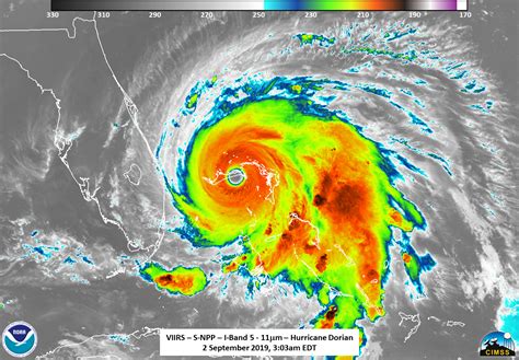
Now, let’s break down these two types of satellites a bit more. Geostationary satellites, like the GOES series, are positioned about 22,000 miles above the Earth’s equator. Because they orbit at the same speed as the Earth rotates, they appear to stay in the same spot, providing a constant view of the same area. This means they can offer frequent updates, often every few minutes, of weather conditions over a specific region. This constant monitoring is perfect for tracking severe weather, such as hurricanes and thunderstorms, as they develop. The data from geostationary satellites is critical for issuing timely warnings and providing up-to-the-minute weather information. The images from these satellites are what you often see on TV weather reports, showing the movement of clouds and weather systems in real time. They have high temporal resolution, meaning they capture images frequently, which is essential for tracking rapidly changing weather patterns. These satellites also collect data on things like sea surface temperatures and atmospheric conditions, giving us a holistic view of the environment.

Polar-Orbiting Satellites

Polar-orbiting satellites, such as those in the NOAA and MetOp series, travel in a different orbit, passing over the North and South Poles. These satellites are much closer to the Earth, orbiting at an altitude of around 500 miles. Because of their lower altitude, they can provide higher-resolution images and more detailed data. Although they don’t provide continuous monitoring of a single area, they eventually pass over the entire globe, providing comprehensive coverage. These satellites are particularly useful for climate monitoring, measuring things like ice cover, vegetation, and ocean currents. They offer global coverage, allowing scientists to study changes over vast areas. Polar-orbiting satellites have a higher spatial resolution compared to geostationary satellites, meaning they can capture more detailed images of the Earth’s surface. They are essential for a wide range of applications, including environmental monitoring and scientific research. The combination of data from both geostationary and polar-orbiting satellites gives us a complete and detailed picture of our planet’s weather and environment.

How Often Do NOAA Satellite Images Update?

So, let’s get to the main question: How often are NOAA satellite images updated? The frequency of updates really depends on the type of satellite and the specific data being collected. Geostationary satellites, designed for continuous monitoring, typically provide images every 5 to 15 minutes, sometimes even more frequently during severe weather events. This rapid update rate is super important for tracking fast-moving weather systems, like hurricanes and tornadoes, as they develop and move. On the other hand, polar-orbiting satellites, with their global coverage, provide images less frequently, often updating on a daily or twice-daily basis. The data from these satellites is crucial for long-term climate monitoring and understanding global environmental changes.

Geostationary Satellite Update Frequency

As mentioned, geostationary satellites are all about that real-time view. They provide high-frequency updates, which are essential for tracking the dynamic changes in weather patterns. The GOES series, for example, is a workhorse in this area, offering near-real-time images and data. You can often see these updates as often as every 5 minutes for some specific products, especially when there’s severe weather. This allows meteorologists to monitor the development and movement of storms, helping them issue timely warnings. This constant stream of information is critical for protecting lives and property during hazardous weather events. The frequency can vary depending on the product, with some specialized data being updated less often. This frequent update schedule ensures that the latest weather information is available to forecasters and the public alike.

Polar-Orbiting Satellite Update Frequency

Polar-orbiting satellites have a different update schedule due to their orbit and focus. They circle the Earth in a north-south direction, which means they don’t continuously monitor a single area. They provide comprehensive global coverage, but the images and data are typically updated on a daily or twice-daily basis. This frequency is perfect for observing larger-scale phenomena and long-term environmental changes. This allows scientists to analyze changes in ice cover, vegetation patterns, and ocean temperatures. While the update frequency is lower than that of geostationary satellites, the high-resolution data they provide is invaluable for climate studies and environmental monitoring. The data collected by polar-orbiting satellites helps us understand global weather patterns and the impact of climate change on our planet.

Accessing NOAA Satellite Images and Data

Okay, so you know how often the images are updated, but how do you actually see them ? NOAA makes its satellite images and data freely available to the public. There are a few key places to find this information:

NOAA Websites

The primary source for NOAA satellite imagery is, of course, the NOAA website. Here, you can find a wealth of information, including images, data products, and real-time weather information. The websites are designed to be user-friendly, allowing you to easily access the data you need. They also offer a variety of tools and resources for understanding and interpreting the data. These websites are the go-to place for the most up-to-date and reliable information.

Third-Party Websites and Applications

There are also tons of third-party websites and apps that provide access to NOAA satellite images. These platforms often offer user-friendly interfaces, making it easier to view and analyze the data. They also provide additional features like interactive maps, animations, and historical data. Many of these sites pull data directly from NOAA, so you’re still getting the most accurate and up-to-date information. They can be a great way to customize your viewing experience and get the information you need in a way that’s easy to understand.

Data Formats and Interpretation

When you access NOAA satellite data, you’ll likely encounter different data formats, such as images, grids, and numerical data. Understanding these formats is essential for interpreting the information correctly. NOAA provides detailed documentation and resources to help you understand these data products. The images you see are often processed to highlight specific features, such as cloud cover, temperature, and precipitation. Learning how to read and interpret these images is key to understanding the weather and environmental conditions they represent.

Factors Affecting Image Updates

Several factors can affect how often NOAA satellite images are updated. These include the type of satellite, the specific instruments onboard, and the data processing procedures. Also, technical issues, such as satellite maintenance or data transmission problems, can sometimes cause delays in image updates.

Satellite Type and Instruments

The type of satellite plays a huge role in the update frequency. Geostationary satellites, designed for continuous monitoring, provide more frequent updates than polar-orbiting satellites. The instruments on board also affect the update rate; some instruments collect data more rapidly than others. The instruments’ capabilities, such as their ability to detect different wavelengths of light, determine the type of data that can be collected and how frequently it can be updated.

Data Processing and Transmission

After the data is collected, it goes through a processing phase before it’s available to the public. This involves calibration, correction, and formatting. The speed of data processing can influence how quickly the images are available. Once processed, the data is transmitted to ground stations and then made available to the public. Any issues during this process can lead to delays in image updates. These systems are constantly being improved to ensure the data is delivered as quickly and accurately as possible.

Technical Issues and Maintenance

Like any technology, satellites and their systems can experience technical issues. Maintenance and calibration are necessary to ensure the instruments function correctly. These activities can sometimes cause temporary interruptions in image updates. While NOAA works hard to minimize these interruptions, they can happen from time to time. NOAA also has backup systems and procedures to ensure minimal disruption to the flow of data.

Conclusion: Staying Informed with NOAA Satellite Imagery

So there you have it! Understanding the NOAA satellite image frequency is key to staying informed about weather and environmental conditions. Knowing the update schedules for geostationary and polar-orbiting satellites allows you to make the most of the data. Whether you’re a weather enthusiast, a student, or just curious, the information from NOAA satellites provides valuable insights into our planet.

By following the update frequencies and utilizing the available resources, you can stay informed and appreciate the incredible technology that keeps us connected to our world. Keep an eye on those images, and happy weather watching!