OS Hurricane Tracker & SCStardust Explained

D.Expipoint 10 views
OS Hurricane Tracker & SCStardust Explained

OS Hurricane Tracker & SCStardust: Your Ultimate Guide

Hey there, fellow weather enthusiasts and tech-savvy individuals! Are you curious about the OS Hurricane Tracker and what the heck SCStardust is all about? Well, you’ve come to the right place! We’re going to dive deep into these fascinating topics, breaking them down in a way that’s easy to understand. Get ready for an informative journey where we’ll explore how these tools work, what they offer, and why they’re essential for anyone interested in tracking hurricanes and understanding space weather. So, buckle up, grab your favorite beverage, and let’s get started!

Unveiling the Power of the OS Hurricane Tracker

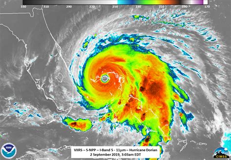
Alright, let’s kick things off with the OS Hurricane Tracker . This is not your average weather app, guys; it’s a comprehensive tool designed to provide real-time information and insights into tropical cyclones. If you’re living in an area prone to hurricanes or simply fascinated by these powerful storms, the OS Hurricane Tracker is a game-changer. So, what exactly makes this tracker so special? First off, it offers up-to-the-minute updates on storm positions, wind speeds, and projected paths. No more relying on scattered news reports; you’ll have all the critical data at your fingertips. The tracker’s user-friendly interface displays everything on an interactive map, making it easy to visualize the storm’s current location and predicted movement. You’ll see the cone of uncertainty, which indicates the potential path of the hurricane, giving you a clear picture of the risks. Beyond the basics, the OS Hurricane Tracker often includes advanced features. You might find detailed satellite imagery, allowing you to see the storm’s structure and intensity. Some trackers even integrate data from various sources, such as aircraft reconnaissance and buoy measurements, providing a well-rounded analysis. The best part? The OS Hurricane Tracker is often available on both web and mobile platforms, so you can stay informed wherever you are. Whether you’re at home, at work, or on the go, you’ll always have access to the latest hurricane information. This is super important when you’re preparing for potential threats. Moreover, the OS Hurricane Tracker is more than just a source of information; it’s a tool for preparedness. By providing accurate and timely data, it helps you make informed decisions, such as when to evacuate, secure your property, or stock up on essential supplies. Knowing the projected path and intensity of a hurricane can be a matter of life and death, so having a reliable tracker is crucial. Think of it as your personal early warning system, helping you stay safe and informed during hurricane season. The OS Hurricane Tracker empowers you to take control and be prepared, rather than feeling overwhelmed by the impending threat. With the right information, you can face the storm with confidence and peace of mind. But wait, there’s more! The OS Hurricane Tracker also provides historical data. You can access past storm tracks, allowing you to analyze patterns and trends. This information is valuable for understanding how hurricanes have behaved in the past and for making predictions about future storms. Learning from history can significantly improve your ability to anticipate and prepare for these events. The OS Hurricane Tracker, in a nutshell, is your go-to resource for staying informed about hurricanes. It’s a powerful tool packed with features and data that will keep you one step ahead. So, if you’re serious about hurricane preparedness or simply want to stay informed, make sure to check out the OS Hurricane Tracker. Trust me, you won’t regret it! You’ll be ready for any hurricane that comes your way.

Decoding SCStardust: Your Space Weather Companion

Now, let’s switch gears and explore the amazing world of SCStardust ! This isn’t just about hurricanes, guys. SCStardust is your window into the fascinating realm of space weather. Imagine a tool that allows you to monitor the sun’s activity, track solar flares, and understand how space weather can impact our planet. That’s precisely what SCStardust brings to the table. Space weather refers to the conditions in space that can affect Earth, including solar flares, coronal mass ejections (CMEs), and solar wind. These phenomena can have far-reaching effects, from disrupting communication systems to damaging satellites and even impacting power grids. SCStardust is designed to provide you with real-time data and insights into these events, helping you understand and prepare for their potential impacts. One of the main features of SCStardust is its ability to monitor solar activity. It tracks solar flares, which are powerful bursts of energy from the sun’s surface. These flares can be classified based on their intensity, and SCStardust provides information on their size and location. You can view images and data from various sources, such as NASA’s Solar Dynamics Observatory, to see the sun in action. But that’s not all. SCStardust also tracks coronal mass ejections (CMEs). CMEs are massive expulsions of plasma and magnetic fields from the sun’s corona. When a CME reaches Earth, it can cause geomagnetic storms, which can disrupt communications and power grids. SCStardust provides real-time data on CMEs, including their speed and direction, so you can see if they are headed our way. Beyond tracking solar events, SCStardust helps you understand the impact of space weather on Earth. It provides information on geomagnetic storms, which are disturbances in Earth’s magnetic field caused by solar activity. These storms can affect satellites, disrupt communications, and even cause auroras. With SCStardust, you can stay informed about the potential risks and take necessary precautions. The user-friendly interface is designed to make complex data accessible. You’ll find charts, graphs, and interactive visualizations that help you understand what’s happening in space. This tool often aggregates data from multiple sources, providing a comprehensive view of space weather conditions. It’s like having your personal space weather analyst! Furthermore, SCStardust is a valuable resource for various users. If you’re a ham radio operator, it can help you understand propagation conditions. If you work in the satellite industry, it will give you crucial information about the risks to your assets. Even if you’re just curious about the wonders of space, SCStardust offers a unique perspective on the cosmos. SCStardust also provides historical data on space weather events. You can access past solar flare events and geomagnetic storm data, allowing you to analyze patterns and trends. This information is useful for research, education, and understanding the long-term effects of space weather. Knowledge of these patterns can help improve predictions and preparedness. Also, some versions of SCStardust come with alerts and notifications. You can set up alerts to receive notifications when significant solar events are detected or when space weather conditions reach a certain level of intensity. This is perfect for those who need to stay informed about potential risks. SCStardust is your gateway to understanding the dynamic world of space weather. It’s a powerful tool that helps you stay informed, prepared, and amazed by the wonders of the cosmos. So, if you’re interested in the sun, space, and the impact of space weather on Earth, SCStardust is a must-have resource.

OS Hurricane Tracker vs. SCStardust: A Comparative Look

Okay, guys, now that we’ve covered both the OS Hurricane Tracker and SCStardust , let’s compare these two amazing tools. While they serve different purposes, they both share a common goal: to provide valuable information and insights to keep you informed. Let’s break down the key differences and similarities. The primary difference is the focus. The OS Hurricane Tracker is specifically designed for tracking hurricanes and tropical cyclones. It focuses on weather patterns, storm tracks, and potential impacts. On the other hand, SCStardust focuses on space weather, monitoring solar activity, solar flares, and the effects of space weather on Earth. So, one is focused on the atmosphere, and the other is focused on what’s happening in space. However, they share the common goal of providing real-time data and insights. Both tools offer up-to-the-minute information, user-friendly interfaces, and a range of features designed to help you stay informed and prepared. The OS Hurricane Tracker uses satellite data, radar imagery, and weather models to track hurricanes, and it gives you a clear picture of the storm’s path and intensity. SCStardust uses data from various solar observatories, such as NASA’s SOHO and SDO, to monitor the sun’s activity and track solar flares. Furthermore, both tools offer historical data and analysis. The OS Hurricane Tracker allows you to access past storm tracks and analyze trends, while SCStardust provides data on past solar events and geomagnetic storms. This historical data is valuable for research, education, and understanding the long-term effects of each type of event. Another similarity is their ability to help you prepare for potential risks. The OS Hurricane Tracker helps you make informed decisions about hurricane preparedness, such as when to evacuate or secure your property. SCStardust helps you understand the potential impact of space weather on our planet, allowing you to prepare for possible disruptions to communications, power grids, and other essential services. Ultimately, both the OS Hurricane Tracker and SCStardust are essential tools for staying informed and prepared. One focuses on hurricanes, and the other on space weather, but they both provide real-time data, historical information, and insights to help you understand potential risks. Depending on your needs and interests, you can utilize both tools to stay on top of weather events, whether they happen in our atmosphere or space. Both resources are super important and are valuable in their respective fields.

Conclusion: Stay Informed and Prepared!

So, there you have it, folks! We’ve taken a deep dive into the world of the OS Hurricane Tracker and SCStardust . You should be super proud, because we’ve covered what these tools are, how they work, and why they’re so important. Remember, the OS Hurricane Tracker is your go-to resource for tracking hurricanes, while SCStardust is your companion for exploring the wonders of space weather. Both tools offer real-time data, user-friendly interfaces, and a wealth of information to keep you informed and prepared. Whether you’re a weather enthusiast, a tech-savvy individual, or simply someone who wants to stay informed, these resources are invaluable. Make sure to explore them, stay informed, and always be prepared for whatever comes your way. Thanks for joining me on this informational adventure. Stay safe, stay informed, and keep exploring! Until next time, keep looking up and stay curious!