The Strongest Hurricane Ever Recorded

D.Expipoint 121 views
The Strongest Hurricane Ever Recorded

The Most Powerful Hurricane in History

Guys, let’s dive deep into the most powerful hurricane ever recorded . We’re talking about Mother Nature flexing her muscles like never before. It’s a wild ride through meteorological history, uncovering the colossal forces that shaped these destructive giants. We’ll explore what makes a hurricane so incredibly powerful, the records they’ve shattered, and the sheer awe-inspiring (and terrifying) scale of their wrath. So, buckle up, grab your metaphorical popcorn, and let’s get ready to understand just how intense these storms can get. It’s not just about wind speed, folks; it’s about a whole cocktail of atmospheric fury that culminates in some of the most devastating natural events on our planet. We’re going to break down the science, the impact, and the sheer epicness of these meteorological monsters. Get ready to be amazed, humbled, and maybe a little bit scared!

Understanding Hurricane Intensity: Beyond Just Wind Speed

So, you wanna know what makes a hurricane truly the strongest ever? It’s not just about how fast the wind is whipping around, though that’s a huge part of it, obviously. When we talk about the strongest hurricane ever , we’re actually looking at a combination of factors that contribute to its overall power and destructive potential. Think of it like a deadly recipe. You’ve got your wind speed , which is usually measured using the Saffir-Simpson Hurricane Wind Scale. This scale categorizes hurricanes from Category 1 (74-95 mph) to Category 5 (157 mph or higher), with Category 5 being the absolute worst-case scenario in terms of wind damage. But wait, there’s more! We also need to consider the pressure drop . The lower the central pressure of a hurricane, the more intense it generally is. This is because lower pressure means a stronger pressure gradient, which in turn drives those powerful winds. We’re talking about a barometer reading so low it looks like a typo! Then there’s the size of the storm. A massive hurricane, even if its winds aren’t the absolute highest on record, can cause widespread devastation simply due to its sheer scale. Imagine a huge area of destruction, not just a concentrated point. And let’s not forget storm surge . This is the abnormal rise of water generated by a storm, over and above the predicted astronomical tides. For coastal areas, storm surge can be the most deadly and destructive aspect of a hurricane, capable of inundating vast expanses of land. When you combine all these elements – ferocious winds, plummeting pressure, immense size, and a towering storm surge – you start to get a picture of what makes a hurricane truly legendary in its destructive power. It’s the convergence of these meteorological marvels (or disasters, depending on your perspective!) that solidifies a storm’s place in the annals of hurricane history. We’re not just talking about a bad storm; we’re talking about a planet-sized phenomenon that redefines what we thought was possible. It’s a true testament to the raw power of nature when it decides to unleash its full fury, and understanding these components helps us appreciate the sheer magnitude of the strongest hurricanes ever to grace (or rather, batter) our planet.

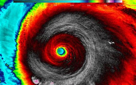
The Contenders for the Crown: Hurricanes That Made History

Alright guys, let’s get down to the nitty-gritty and talk about the storms that are perpetually in the conversation when we discuss the strongest hurricane ever . These aren’t just names you see on a weather map; these are meteorological titans that left an indelible mark on history. The undisputed champion, often cited for its sheer intensity, is Hurricane Patricia in 2015. This Category 5 monster in the Eastern Pacific Ocean boasted an astonishing sustained wind speed of 215 mph and a central pressure of 872 millibars. Those numbers are just mind-boggling! To put it in perspective, 215 mph winds are strong enough to flatten virtually any structure. Patricia’s record-breaking winds made it the most intense tropical cyclone ever recorded in the Western Hemisphere . While its landfall in Mexico was relatively weak due to rapid weakening, the potential for utter devastation if it had maintained its peak intensity over a populated area is chilling to consider. Another major contender, and perhaps more infamous for its impact on the United States, is the Labor Day Hurricane of 1935 . This Category 5 behemoth made landfall in the Florida Keys with sustained winds estimated at 185 mph and a staggering central pressure of 892 millibars. It remains the most intense hurricane to make landfall in the continental United States in terms of central pressure. The destruction was absolute; the storm surge was immense, and the Keys were virtually wiped off the map. Its sheer ferocity and the devastating loss of life cemented its place in history. Then there’s Typhoon Tip in 1979, often considered the largest tropical cyclone on record. While its wind speeds, peaking at 160 mph, don’t quite match Patricia’s record, its sheer size was unprecedented. It had a staggering diameter of 1,380 miles! Imagine a storm system that covers a third of the United States. Its record low pressure of 870 millibars also puts it in rarefied air. Though it weakened considerably before making landfall in Japan, its immense scale and record-breaking pressure drop make it a significant player in the discussion of extreme weather events. These storms, each in their own way, represent the pinnacle of hurricane power, pushing the boundaries of what we understand about these natural phenomena and serving as stark reminders of nature’s untamed might. They are legends in the meteorological world, each with a story of incredible power and, often, immense destruction.

The Science Behind the Fury: How Do Such Monsters Form?

Now, you might be wondering, how on earth do these colossal storms, the strongest hurricanes ever , even come into existence? It’s a complex dance of atmospheric and oceanic conditions that have to align perfectly, like a cosmic convergence of the right ingredients. For starters, you need warm ocean waters . We’re talking water temperatures of at least 80°F (26.5°C) extending down to a depth of about 150 feet. These warm waters are the fuel for hurricanes, providing the energy through evaporation that powers the storm’s engine. Think of it like a giant heat-transfer machine. As warm, moist air rises from the ocean surface, it cools and condenses, forming clouds and releasing latent heat. This process creates an area of low pressure at the surface, drawing in more air. As this air rushes in, it begins to rotate due to the Coriolis effect, which is the Earth’s rotation. This effect causes winds to deflect to the right in the Northern Hemisphere and to the left in the Southern Hemisphere, initiating the spinning motion characteristic of hurricanes. You also need low vertical wind shear . This means that the wind speed and direction shouldn’t change too drastically as you go up through the atmosphere. High wind shear can tear a developing storm apart, disrupting its vertical structure and preventing it from organizing and intensifying. So, a calm upper atmosphere is crucial. Another vital ingredient is moisture . The air needs to be humid enough to support the formation of thunderstorms, which are the building blocks of a hurricane. This moisture is readily available over warm ocean waters. Finally, you need a pre-existing weather disturbance , like a tropical wave or a cluster of thunderstorms, to get things started. This disturbance provides the initial focus for the storm to develop around. When all these factors come together in the right place and at the right time – warm oceans, light winds aloft, plenty of moisture, and a disturbance – a tropical depression can form. If conditions remain favorable, this depression can intensify into a tropical storm and then, potentially, into a hurricane. The most powerful hurricanes often form over vast stretches of open ocean, allowing them to gather strength and size without encountering landmasses that would disrupt their development. It’s a delicate balance, and when that balance is struck perfectly, you get the kind of incredible, awe-inspiring, and terrifying storms that earn a place in the history books as the strongest hurricanes ever known to man. The formation process is a testament to the intricate workings of our planet’s climate system, a powerful reminder of the forces we are up against.

The Impact: More Than Just Wind Damage

When we talk about the strongest hurricane ever , it’s easy to get fixated on the raw numbers: wind speed, pressure, size. But guys, the real story, the one that truly matters, is the impact . These aren’t just abstract meteorological events; they are cataclysmic forces that reshape landscapes, devastate communities, and leave lasting scars on human lives and ecosystems. The most immediate and often most destructive impact is storm surge . Forget the wind for a second; a massive wall of water pushed ashore by the hurricane can inundate coastal areas for miles inland, destroying everything in its path. Homes, businesses, infrastructure – all swept away or reduced to rubble. The flooding caused by storm surge can be far more devastating and deadly than the wind alone. Think of the iconic images from places like New Orleans after Hurricane Katrina or the Florida Keys after the Labor Day Hurricane of 1935 – landscapes transformed into underwater wastelands. Then, of course, there’s the wind damage . At the speeds seen in the strongest hurricanes, sustained winds can rip roofs off buildings, shatter windows, topple trees, and turn ordinary objects into deadly projectiles. Infrastructure like power lines, bridges, and communication towers are particularly vulnerable, leading to widespread and prolonged power outages and communication breakdowns that can cripple recovery efforts for weeks or even months. But the impact doesn’t stop there. Heavy rainfall accompanying these massive storms can lead to catastrophic inland flooding, even far from the coast. Rivers can overflow their banks, landslides can occur in mountainous regions, and flash floods can turn roads into treacherous torrents. This prolonged rainfall can exacerbate the damage caused by storm surge and wind, creating a multi-faceted disaster. Furthermore, the economic consequences are staggering. The cost of repairing and rebuilding after a major hurricane can run into the billions, sometimes even tens of billions, of dollars. This includes damage to homes, businesses, public infrastructure, and agriculture. The disruption to local economies can be profound, leading to job losses, business closures, and long-term economic hardship for affected regions. Beyond the physical and economic toll, there’s the human cost . The loss of life is, tragically, a common feature of powerful hurricanes. But even for survivors, the psychological trauma of experiencing such a devastating event, losing their homes and possessions, and facing an uncertain future can be immense. Recovery is not just about rebuilding structures; it’s about rebuilding lives and communities. These storms serve as powerful reminders of our vulnerability to the forces of nature and the critical importance of preparedness, resilient infrastructure, and effective disaster response planning. The legacy of the strongest hurricanes ever recorded is not just in meteorological data, but in the stories of survival, resilience, and the enduring impact on the places and people they touch.

The Future of Extreme Hurricanes: Climate Change and What’s Next

So, we’ve talked about the strongest hurricanes ever and the incredible power they wield. But what does the future hold, guys? This is where things get a bit more complex and, frankly, a little concerning. The scientific consensus is increasingly pointing towards a link between climate change and the intensity of tropical cyclones, including hurricanes. While it’s tricky to say that any single storm is directly caused by climate change, the warming of our planet is definitely creating conditions that are more favorable for the development of stronger, more intense hurricanes. One of the key factors is sea surface temperature . As the oceans absorb a significant amount of the excess heat trapped by greenhouse gases, they get warmer. As we discussed earlier, warm ocean water is the primary fuel for hurricanes. So, warmer waters mean more energy available for storms to intensify, potentially leading to a higher frequency of Category 4 and Category 5 storms. There’s also evidence suggesting that hurricanes might be able to draw in more moisture from these warmer oceans, leading to even heavier rainfall and increased flooding risks. Another area of concern is rapid intensification . This is when a hurricane’s wind speed increases dramatically in a short period, making it much harder to predict and prepare for. Some research indicates that climate change could be contributing to more frequent episodes of rapid intensification. Furthermore, as global temperatures rise, sea levels are also climbing due to thermal expansion of water and melting glaciers. This higher baseline sea level means that storm surges, even from less intense storms, can reach further inland and cause more significant flooding. While the link between climate change and the frequency of all hurricanes is still an active area of research, there’s a growing body of evidence that suggests we can expect an increase in the intensity of the strongest storms. This means that the records set by hurricanes like Patricia or the 1935 Labor Day Hurricane might be challenged more frequently in the future. It’s a wake-up call, urging us to take climate change seriously and to focus on both mitigation (reducing greenhouse gas emissions) and adaptation (building more resilient communities and infrastructure). Understanding these future trends is crucial for coastal communities and for global efforts to address the challenges posed by extreme weather events. The conversation about the strongest hurricanes ever recorded isn’t just about looking back; it’s also about preparing for what might be ahead.